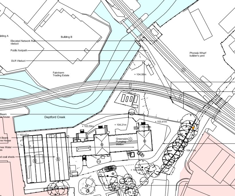
Thames Tideway Tunnel Site – Greenwich Pumping Station » GreenwichPumping Station Plan
GreenwichPumping Station Plan
No comments yet.
This site uses Akismet to reduce spam. Learn how your comment data is processed.
About This Blog
What this blog will eventually be about I do not know.
But it will be about how I’m coping with the loss of my wife and son to cancer in recent years and how I manage with being a coeliac and recovering from a stroke. It will be about travel, sport, engineering, food, art, computers, large projects and London, that are some of the passions that fill my life.
And hopefully, it will get rid of the lonely times, from which I still suffer.
Why Anonymous? That’s how you feel at times.
Charities
Useful Links
Top Posts
- The Barbican Entrance To The Elizabeth Line - 10th June 2022
- Walking Between Walthamstow Central And Queens Road Stations
- Southern Crossrail
- Folding Stools at the British Museum
- A Connection Between City Thameslink Station And The Docklands Light Railway
- Liverpool's Forgotten Tunnel
- Elizabeth Line - Paddington Bakerloo Line Link - 24th May 2022
- Ministers Sack Top Rail Adviser Who Spoke Out Over HS2 Train Debacle
- Liverpool Lime Street Station After the Transformation of 2017-18
- Manchester Piccadilly Station Platform Layout
WordPress Admin
-
Join 1,898 other subscribers
Archives
Categories
- Advertising Architecture Art Australia Aviation Banks Battery-Electric Trains BBC Buses Cambridge Coeliac/Gluten-Free Construction COVID-19 Crossrail Death Decarbonisation Design Development Docklands Light Railway Driving East Coast Main Line Electrification Elizabeth Line Energy Engineering Entertainment Floating Wind Power Flying Football France Freight Germany Global Warming/Zero-Carbon Gospel Oak And Barking Line Greater Anglia Great Western Railway Heathrow Airport High Speed Two Highview Power Hydrogen-Powered Trains Innovation Internet Ipswich Town King's Cross Station Law Liverpool London London Overground London Underground Manchester Marks and Spencer Network Rail New Stations Offshore Wind Power Olympics Phones Politics Project Management Religion Research Scotland Shopping Solar Power Stations Step-Free Stroke Television Thameslink The Netherlands Trains United States Walking Weather Wind Power Zopa
Tweets
Tweets by VagueShot


Leave a comment