Should Crossrail Go To Dartford And Gravesham?
here has been a call this week reported in the Kent News by local council leaders for Crossrail to be extended to Dartford and Gravesham.
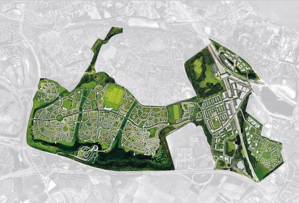
Given that there is a garden city planned at Ebbsfleet, on the face of it, this could seem to be a good idea. This map taken from the Garden City web site, shows the layout of the new city.

Ebbsfleet Garden City
Note Ebbsfleet International station in the top right. The map below shows the area from Google Earth.

In addition to Ebbsfleet International, three stations are shown. From west (left) to east, they are Swanscombe, Northfleet and Gravesend on the North Kent Line.
Note how there is a loop on the North Kent line to serve Ebbsfleet.

Rail Lines At Ebbsfleet
I use the Southeastern HighSpeed service to get to places like Rochester, Dover and Broadstairs, generally joining the service at Stratford or St. Pancras. It is a good, fast service with modern Class 395 trains, but often when I travel the trains are run almost for my benefit alone.
I think that a general sorting out of train services in Kent, and particularly the Highspeed service will happen. Consider the following.
1. Hastings, Bexhill and Eastbourne could be added to the Highspeed network, by electrifying the Marshlink line. These trains will go straight through Ebbsfleet on HS1.
2. There is no easy connection between HS1 and Crossrail, unless you walk between Stratford International and Regional stations. In fact HS1 doesn’t connect easily to lots of places, due to not stopping at Stratford, where the interchange, except to the DLR is dreadful anyway.
3. Rochester, Strood and North Kent generally needs all the help it can get to lift the economy.
The obvious thing to improve things would be to have cross platform interchange between the North Kent Line, Crossrail and HS1, at Ebbsfleet International. Or if that is not possible, due to the design of the current station, they could apply the rules that have been so superbly demonstrated at Reading, Leeds and Derby.
London Connections has an article, where it discusses extending Crossrail to the east in Kent. It says this.
The original proposal was for Crossrail’s south-eastern arm to terminate at Ebbsfleet. Ebbsfleet seemed an obvious choice, but more thorough analysis showed some disadvantages. Curtailing it at Abbey Wood had distinct attractions to the planning team who would naturally would take a risk-adverse attitude to the project.
From an operational point of view, it would eliminate the need for Crossrail trains to run on third rail routes and therefore simplify train construction and add robustness to the plan. It would also leave this route self-contained and not at the mercy of trains on the south-eastern sector, which was already notorious for being vulnerable to problems anywhere on the crowded network affecting the whole service. It also had the added attraction of reducing the cost of a minimal-viable Crossrail project.
So yet again, Southern Railway’s third-rail electrification throws a spanner in the works.
It certainly needs a bit of planning to sort out the problems of the past.
I suspect that engineers, architects and real railwaymen, will sit round a table in a pub somewhere and get the special engineering fag packets and strong coffee out.
They do have some formidable resources at their disposal.
1. The dual-voltage Class 395 trains, which if more were needed could probably be built in the UK.
2. Acres of space at Ebbsfleet International.
3. A new cross-platform interchange between the Kent Lines and Crossrail at Abbey Wood.
4. In a few years time, ERTMS will have arrived to enable trains to go a lot more places on the comprehensive network south of the Thames.
5. Transport for London may well have succeeded in adding the lines to South East London to the London Overground, that they were refused this year. This would have enabled Dartford, Gravesend, Rochester or even Ebbsfleet to be the terminal of an extended New Cross branch of the East London Line.
6. Transport for London has all of the traffic statistics from payment cards, so they just need to analyse rather than speculate.
I have a feeling that there may be a better solution to getting better access to Dartford and Gravesham, than the simplistic one of extending Crossrail.
If it would ease the congestion every time the tunnel or bridge are closed, then yes. Dartford grinds to a standstill on this occasions.
Comment by nosnikrapzil | December 6, 2014 |