Never Underestimate Scousers With Ambition
I was looking up something at Liverpool University and came across the Liverpool Knowledge Quarter, which is a project to do what it says in the name.
One development is Paddington Village.
This is said.
Paddington Village is a £1bn flagship expansion site sitting at the eastern gateway to the city centre and has been earmarked as 1.8m sq ft of science, technology, education and health space.
In November 2016 a draft masterplan was published, outlining the plans for the site, which will be developed in three phases: Paddington Central, Paddington South and Paddington North, with phase one due to commence in the coming months.
At 30 acres, Paddington is a sizeable urban village, inspired by the sense of community you’d find in the likes of Greenwich Village in New York. Not only will it be a great place to live but a great place to work, discover and socialise, with state-of-the art workspace, labs, cafés, restaurants, shops, accommodation, a hotel and teaching, examination and events space.
The sites first two anchor tenants have already been announce and will see as new Northern Centre of Excellence for the Royal College of Physicians and a new 45,000 sq ft education and learning facilities and 262 residential bed spaces for Liverpool International College. There are also plans in place for a new train station, making this phase two of the Paddington Village development key to the new transport infrastructure for the area.
I also found some more about the Paddington Square station in other places.
This news item in the Liverpool Echo says or implies the following.
- The new station would use some existing tunneling like the Edge Hill Spur.
- The new station would connect to the City, Northern and Wirral Lines.
- The new station would be close to the new Royal Liverpool Hospital.
- The vision is to have in built in five years.
I talked about Merseyrail’s new trains in Thoughts On Merseyrail’s New Trains.
This Google Map shows the area.
Note.
- Lime Street station is at the West and Edge Hill station is in the East.
- The lines into Lime Street are a dark scar between the two stations.
- The Royal Liverpool Hospital is at the top of the map and I think the triangular site to the East will be Paddington Village with Paddington Square station.
Note that there are three abandoned freight tunnels leading from the Docks to Edge Hill station.
On which one will Paddington Square station be built?
I talked about Merseyrail’s new trains in Thoughts On Merseyrail’s New Trains.
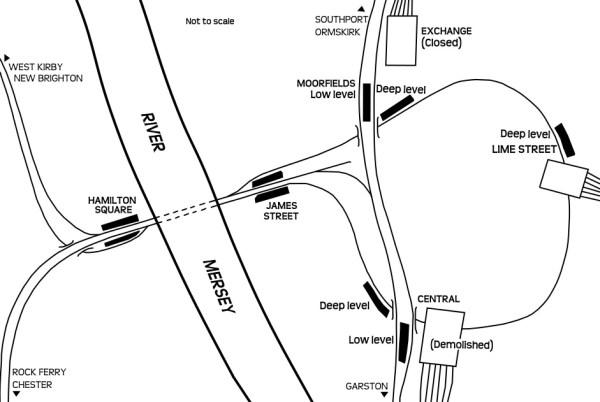
This map from Wikipedia, shows the Loop Line under the Centre of Liverpool.
Could trains come in from the East and feed into this loop?
At present 12 trains per hour (tph) come in from the Wirral Line and after stopping at James Street, Moorfields, Lime Street, Central and James Street again, they go back under the Mersey to Birkenhead.
So could trains from Edge Hill join the loop and go through Lime Street, Central and Morrfield stations before going back to Edge Hill?
If the loop was running under Automatic Train Operation (ATO) with the new Stadler trains, I suspect that the Loop could probably handle upwards of the current 12 tph. Perhaps even 24 tph, which could give.
- 4 tph to Manchester via Warrington
- 4 tph to Wigan
- 4 tph to Chester via Runcorn and the Halton Curve.
Or whatever Merseyrail thought was the correct service.
Liverpool would have a unique underground railway.
It could be a superb urban railway, with services to the following destinations, from all stations in the Loop.
- Chester
- Ellesmere Port
- Hunts Cross
- Kirkby
- Liverpool Airport
- Manchester
- Manchester Airport
- New Brighton
- Ormskirk
- Preston
- Rock Ferry
- Southport
- Warrington
- Wigan
- West Kirby
- Wrexham
Passengers going between say Chester and Wigan would get off at Moorfields and wait for the next Wigan train.
These tunnels were only built in 1977 and the loop is due for updating in the first half of 2017, so at least the tunnellers will know where everything is buried.
One advantage is putting all the suburban services in the basement, is that this would release platforms for services to Glasgow, across the Pennines and for HS2.
It certainly seems to be a project that can be realised.
It is an ambitious project, but then who can forget four lads from Liverpool in the 1960s, who had ambition and just imagined?
No comments yet.


Leave a comment