Thames Tideway Tunnel Site – Deptford Church Street
Index Thames Tideway Tunnel Sites Deptford Church Street
Deptford Church Street is a site that is being used to help construct the Greenwich Interconnection Tunnel between Greenwich Pumping House and Chambers Wharf. Specifically, it’s purpose is defined on the Thames Tideway Tunnel web site as follows.
It will be used to intercept the Deptford Storm Relief Sewer combined sewer overflow, divert flows into the Greenwich connection tunnel and to the main tunnel.
This Google Earth image shows the area.
The work site at Deptford Church Street are to the north side of the Greenwich Rail Line in part of the green space and this is a visualisation of the area from the Thames Tideway web site.
The corner at the bottom left of the green space is tucked between the Greenwich Rail Line and Church Street, which runs across the front of the image.
I also took a few pictures of the area.
I think it is true to say that we’re good at landscape gardening in this country and I can envisage a garden design being produced here, that could enhance the whole area. As the image shows, there will be a few smallish structures in the garden.
Thames Tideway Tunnel Site – Greenwich Pumping Station
Index Thames Tideway Tunnel Sites Greenwich Pumping Station
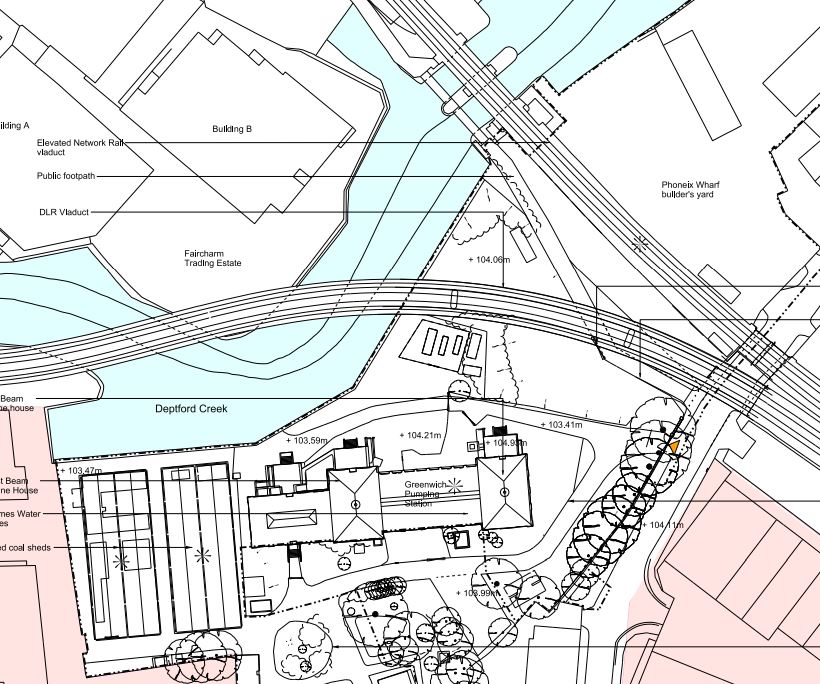
Greenwich Pumping Station is an existing Grade II Listed works and is being used to drive the Greenwich Interconnection Tunnel to Chambers Wharf. The Pumping Station lies alongside Deptford Creek, underneath the DLR and the Greenwich Rail Line. This Google Earth image shows the area.
The DLR is the rail line that bends along the Creek and the Pumping Station is to the right. These are some pictures I took of the Pumping Station.
Some were taken from the DLR and they give a good view of the site.
This is another picture that was clipped from the Thames Tideway Tunnel website, which shows how it will look when complete.
The DLR is shown in the foreground and the picture is looking south.
Thames Water say this about the Greenwich Pumping station on the Thames Tideway web site.
Work includes construction of underground structures to connect the CSO to a shaft approximately 46 metres deep with an internal diameter of approximately 17 metres. This shaft will be built within the existing Greenwich Pumping Station compound to the north of the existing pumping station building. The existing Grade II listed East Beam Engine House will be refurbished to house ventilation equipment and electrical and control panels.
Hopefully, this is one of the few sites on the Thames Tideway Tunnel, where some quality visual architecture can be employed. The area between the the Pumping Station, the railways and Deptford Creek could be turned into a leisure area bookended by the Grade II Listed Pumping Station and the Deptford Creek Lift Bridge.
This architectural drawing was clipped from the Thames Tideway Tunnel website.
To my untrained eye, it looks like the only new construction between the Pumping Station and the railway lines is the shaft that reaches down to the Greenwich Interconnection Tunnel. Will this be flat in the concrete or an odd shape that can’t be used for anything else? But even so there is a lot of space there to create something worthwhile for residents and visitors.
I also can’t believe that the locals will be too inconvenienced during construction. The builders may have problems because of the DLR viaduct, but in London cramped sites are something to which you get used. The builders have also got good water access for difficult supplies and taking out the tunnel spoil.
I also feel, that there might be some excellent views of the construction from the DLR, as most of the heavy work will take place, like the insertion of the tunnel boring machine, in full view of Lewisham-bound trains.
Thames Tideway Tunnel Site – Earl Pumping Station
Index Thames Tideway Tunnel Sites Earl Pumping Station
Earl Pumping Statiuon is going to be upgraded for the Thames Tideway Tunnel. it is currently in use and is tucked away in residential streets to the south of Surrey Docks. This Google Earth image shows the area.
The Pumping Station is on Yeoman Street and is the rectangular building pointing to the north-east. There are labels and they may help. These are pictures I took of the outside of the pumping station.
It is a building of simple practicality rather than architectural merit. Hopefully the new building works will improve it.
This image was one I clipped from the Tideway Tunnel site.
This is one of those sites, which if they used some good project planning and got a keen architect to skin and landscape everything properly, they could create a building that fitted in to the area well.
The Electorate Has Changed
Rod Liddle, in a piece in The Sunday Times yesterday started like this.
The British public are not stupid, then. Everybody else, however, is. The politicians, pundits, commentators, psephoologists, me.
He then gives a series of tales of those who got it wrong.
But I think, on the whole the public have thought that the coalition had done a good job in sorting out the mess. So many people, who I would have thought sensible, said to me that they’d wanted a box on the ballot paper for the coalition. Simplistic maybe, but it shows the inherent conservatism (small c) of much of the British public.
The electorate has changed with each generation since mine, being more likely to get a good education and/or go to University. And at University they learn more than their subject. So we’ve probably got the most politically-educated population ever! They also understand about business and economics.
It is also likely that perhaps ninety percent of people in this country, has a close relative, who is well-educated.
Over the last couple of decades, there has been a massive expansion of the self-employed and ideas, and especially ideas disruptive of large monolithic business have proliferated. How many of the children of the so-called working class, are using their brains to earn money, even if as yet it’s not enough?
But many of this educated generation are ambitious and aspire to be rich.
Much of the offerings from politicians didn’t really stand up, but persuasive arguments from nationalists and little-Englanders appealed to some.
But many people looked at the candidates on offer and then voted with their brains rather than their breeding.
I wonder how many life-long Labour supporters, looked at Miliband’s London-centric left-leaning offering, decided it wasn’t for them and voted for someone else.
MacMillan, Wilson, Thatcher and Blair won elections because they gave the people hope that they would have a better life and might even end up well-off by their own efforts.
Miliband’s message to the aspirational for example, was that if you make a fortune by inventing a better mouse-trap, we’ll tax you to the hilt and steal your pension. Well, not quite like that, but he didn’t promise anything worth working hard for.
And to cast everything in stone, was the sort of thing that we might have done at University in the 1960s, to have a laugh in Rag Week.
No wonder Labour lost!


























