The Anonymous Widower

The Crossrail 2 Junction Under Stamford Hill

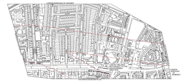
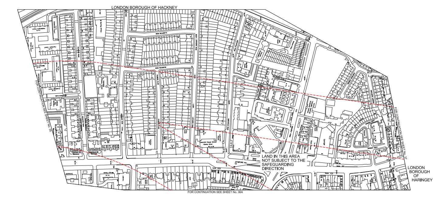
The two northern branches of Crossrail 2, that go to New Southgate and Tottenham Hale respectively, would appear according to this safeguarding map on the Crossrail 2 web site, to join together under Stamford Hill.

Crossrail 2  Northern Junction

Crossrail 2 Northern Junction

This map is as it is presented on the Crossrail 2 web site, with north to the right and east to the bottom.

It looks like the junction will be in the area of Holmleigh Primary School. From the safeguarded area shown in red, it would appear that the New Southgate branch lines up north-south with the A10 road and the Tottenham Hale branch comes in from the north-east.

When the tunnels for Crossrail were built, a similar junction was needed to be built in Stepney. They obtained the access they needed by taking over part of Stepney City Farm. The work is described in a section in the Wikipedia entry.

In 2010 Crossrail took over approximately a third of the Farm’s site as part of the works to build a rail transport link connecting east and west London.[1] A map of the works as it affects the farm can be found in the annual report for Stepney City Farm Ltd from 2010_11(p. 6). This work is due to end in 2016 when the land will be returned to the farm. In January 2011 Crossrail opened up an archaeological dig at the construction site on the farm. A ventilation shaft next door to the farm leads down to the one of the largest mined caverns in Europe. In mitigation Crossrail worked closely with the farm to allow the existing animals to remain by making major improvements to the farm, especially the drainage of the fields and building a large barn for over-wintering the animals and a rural arts building to house the farm’s craftspeople

I visited in 2012 and was impressed at the good relationship between both sides.

So will a similar surface reconstruction be done with Holmleigh Primary School?

There may also be an alternative, in that the junction is just over a kilometre from the tunnel portal south of Tottenham Hale. So could a tunnel be dug from the portal and the cavern for the junction be excavated without digging down from the surface? The New Southgate branch would then go straight through the cavern on its way to Dalston, Islington and beyond.

I’m no tunnelling expert, but surely instead of digging down to create the cavern, digging in from the side is not that different.

I do think though, that the junction has been arranged deliberately under Stamford Hill, which will surely mean it is deeper underground than it otherwise would be. This must reduce any noise and vibration at the surface.

Remember too, that High Speed One was dug through this area a mile or so to the south. Wikipedia describes the digging of the tunnels like this.

The twin tunnels bored under London were driven from Stratford westwards towards St Pancras, eastwards towards Dagenham and from Dagenham westwards to connect with the tunnel from Stratford. The tunnel boring machines were 120 metres long and weighed 1,100 tonnes. The depth of the tunnels varies from 24 metres to 50 metres.

So the engineers will only probably be repeating something that was completed in 2007. But now they are more experienced and the machines are probably larger and more powerful.

It would be a major difference in the disruption caused by Crossrail 2 compared to Crossrail, if the line could be bored through Stamford Hill without any large construction shafts having to be dug from the surface.

March 28, 2015 - Posted by | Transport/Travel | , ,

2 Comments »

  1. […] post entitled The Crossrail 2 Junction Under Stamford Hill, shows some maps and pictures and gives my thoughts in […]

    Pingback by Crossrail 2 Through East London « The Anonymous Widower | March 29, 2015 | Reply

  2. I own Ockway House at 41 Stamford Hill which is sited next to the overground rail line.
    Will Ockway House be affceted. I was told throuh the grapevine that the work will require Ockway House and MNorrison next door to be demolished. Any advice?

    Comment by Alex Strom | March 31, 2015 | Reply


Leave a comment

This site uses Akismet to reduce spam. Learn how your comment data is processed.